A plot of land in Knyazevo district for compensation
city Sofia, Knyazhevo
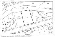
1200 m2
Property description
Bulgaria Sotheby's International Realty is offering for compensation a building plot on Tsar Boris III Blvd. in the capital's "Kniazhevo" district
Features of the property:
Area: 1200 sq.m.
Device category - SMF 1 / mixed multifunctional area with reduced parameters/
Building density - 40%
Kint - 2
Minimum landscaped area - 40%
Elevation cornice - 26 m.
Construction parameters:
Living space: 520 sq.m.
Total area: 2600 sq.m.
Underground - 1020 sq.m.
Total built-up area: 3620 sq.m.
Number of floors: 5
Реф №6562
- For residential construction
- Next to the electricity
- Near by regulation
- Next to the road
Similar offers
A plot of land in the most prestigious and desirable part of...
city Sofia,
Boyana
1400 m2
excluding VAT
×
❮
❯
